Property Description
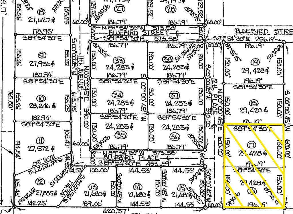
Two adjacent parcels offered as a bundled sale, totaling approximately 1.36 acres and zoned R4 for up to 23 apartment units. Located in a thriving mixed-residential neighborhood with single-family homes, townhouses, and a senior living community, this site is adjacent to recent new construction and ongoing growth. Positioned just north of Egg Harbor Road and directly behind Cherry Point Mall, the property offers strong visibility, access to amenities, and long-term upside. Ideal for developers seeking a shovel-ready opportunity in a market with rising demand for multi-family housing.
Additional Information
98
13-Town of Sturgeon Bay N
R-4
$608
Sturgeon Bay
Inland
Electric at Road
Compass RE Wisconsin, LLC
N 12th Pl
N 12th Pl, Sturgeon Bay, Wisconsin 54235
1.36 Acre
Visits : 430 in 242 days
$185,000
Listing ID #144581
At A Glance
Property Type : Inland-Land
Listing Type : For Sale
Listing ID : 144581
Price : $185,000
Lot Area : 1.36 Acre
Status : Closed
Contract Status : Sold
Contact True North
9402 Hill Street, Fish Creek, WI 54212
Send A Message
